REQUEST A TOUR If you would like to see this home without being there in person, select the "Virtual Tour" option and your agent will contact you to discuss available opportunities.
In-PersonVirtual Tour

$ 1
Est. payment | /mo
$ 1
Est. payment | /mo
Key Details
Property Type Commercial
Sub Type Land
Listing Status Active
Purchase Type For Sale
Subdivision Minto
MLS Listing ID X13004048
Annual Tax Amount $12,067
Tax Year 2025
Property Sub-Type Land
Property Description
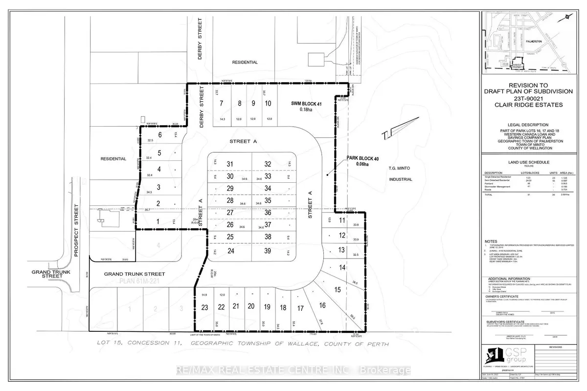
Exceptional residential development opportunity on 6.63 acres vacant land, Clair Ridge Estates in Palmerston, Wellington County, Ontario, is a draft-approved residential subdivision development Located in the Town of Minto, the project is planned to include 23 single-detached units and 16 semi-detached units ready-to-build draft plan subdivision approved ( total 39 lots ).This site located in Palmerston is a charming community locatedon the southern edge of the Town of Minto in Wellington County,Ontario.
Location
Province ON
County Wellington
Area Wellington
Zoning R2 (Residential development land)
Exterior
Utilities Available None
Building
Lot Description Lot
Lited by ROYAL LEPAGE SIGNATURE REALTY
GET MORE INFORMATION


